Remember how I profiled competing Pierce County plans earlier last month to help or hurt farmland? Well, two weeks ago, the Pierce County Council finally weighed in on a final proposal to address the full-year public process on protected agricultural lands. That proposal? Do nothing.
Yes. Do nothing. After a third party consultant report saying that the current approach incorrectly protects non-agricultural land and fails to protect actual agricultural lands. After Pierce County planning staff confirmed that reality. After the county’s Planning Commission haphazardly dissented. And, after the Pierce County Council’s own planning committee at least recognizing something should be done, the Pierce County Council chose to do nothing. The Pierce County Council instead focused on other sausage-making through amendments to the county’s Comprehensive Plan.
New Sausage
So what did the Pierce County Council approve? Small-scale craft distilleries in rural areas, urban growth area expansions, a possible new city in the sprawled out Tehaleh doughnut, and designating unincorporated urban growth areas as potential annexation areas for Bonney Lake–a mixed bag of innocuous and disappointing changes. The only decidedly good amendments dealt with adding low-impact development policies.
Craft Distilleries
New policies were added to support the creation of small-scale craft distilleries in rural areas, a nod to growing demand for locally-made liquors. The policies limit the amount of development related to craft distillery business to no more than one acre for tasting rooms and sales floor, distilling, storage, and parking. The tasting rooms and sales floors would be specifically limited to 3,000 square feet and production an extra 5,000 square feet (for a total of 8,000 square feet).
Urban Growth Expansions
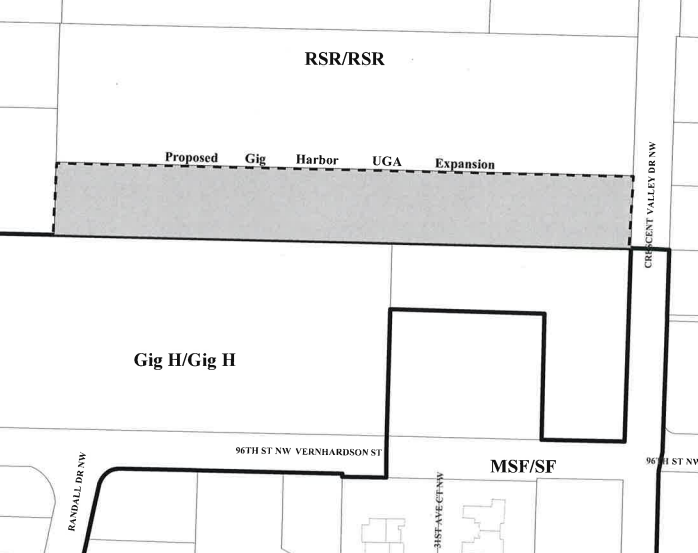
Two expansions of urban growth areas in Pierce County were approved. The first expansion adds 58.5 acres to the urban growth area next to the suburban city of Bonney Lake, just off of Lake Tapps. The second adds 2.33 acres of land to the urban growth area next to Gig Harbor.
The Bonney Lake urban growth area expansion was proposed by the Sumner School in order to expand an existing middle school. While the expansion may not seem like a particularly significant change, it brings two urban growth areas very close to merging. Additional development of the middle school site will inevitably mean urban improvements that may entice surrounding residents to petition for further urban growth expansions, further eroding rural lands and sensitive environments. The urban growth area expansion redesignates the school property from Rural Ten (R10) to Moderate Density Single Family (MSF).

The Gig Harbor urban growth area expansion may be comparably less of a concern. The City of Gig Harbor owns the property in the expansion area, which is used as a municipal park. The 2.33-acre urban growth area expansion would allow continued use as a park. The redesignation from Rural Sensitive Resource (RSR) to Parks and Recreation (PR) should ensure that the land remains as open space. Gig Harbor plans to eventually annex the property into the city.

Tehaleh Policies
Tehaleh is a massive sprawl doughnut between the suburban city of Bonney Lake and rural town of Orting. The area covers some 5,100 acres and 1,446 different parcels of land–all of which lies within the urban growth area. Pierce County has development agreements in place to facilitate the long-term growth of the mega master-planned community, which hopes to net a mix of uses, including: employment-generating uses, a range of residential housing types and densities, public facilities (e.g., schools, fire stations, and libraries), and an extensive recreational and trail network.

In the amendments to the county’s Comprehensive Plan, Pierce County added new policies that designate Tehaleh as a Potential Incorporation Area (PIA). The designation comes with the recognition that the Employment Based Planned Community (EBPC) is a unique area of the county that could become its own city in the future instead of several neighborhoods in another city. This is because the growing area largely serves itself with its own public facilities, has a community identity all its own, and is completely separated from established cities that might otherwise annex it.

Potential Annexation Areas
Bonney Lake is looking to expand its reach through two annexations at the southeast of the city. Approximately 349 acres and over 2,000 residents would be added if the areas were to be annexed. Both areas are mostly built out with single-family residential development at low urban densities, though there are still some parcels remaining that could be developed down the road.


Low-Impact Development
The biggest bright spot–if there’s any to be found–in this year’s round of Comprehensive Plan amendments were those relating to low-impact development (LID). New policies were added throughout the Comprehensive Plan to require new development, when feasible, to use LID principles and practices for stormwater drainage. LID differs from typical stormwater management practices by using alternative techniques to treat, detain, and release run-off. Common approaches include bioswales, rain gardens, and permeable pavement that allow stormwater to infiltrate into the ground and improve overall water quality.
Maybe Next Year?
So perhaps not all the sausage is bad. But it could have been much better if the Pierce County Council stood up for agriculture. Maybe next year? It’s a good reminder that area voters should pay closer attention to who’s representing them on their respective county councils.
The title image is of a housing development in Bonney Lake, photo credit to the City of Bonney Lake.
Agriculture Approaches A Crossroads In Pierce County